With the steady stream of outsiders coming into Alaska, demand and competition for land continued to increase. Miners could claim land under the 1884 District Act, non-Natives could claim a home site under the 1891 Townsite Act or a homestead under the 1898 Homestead Act. Churches sought land and acquired it through the Missions Act of 1900, which allowed a religious denomination to acquire up to one square mile of land in Alaska. Disputes over land, particularly between miners, resource developers, and Alaska Native people arose. A string of court cases concerning Alaska Native land rights began, and continued up to the settlement of the Alaska Native Claims Act in 1971. There were contradictory decisions in these court cases, but two early cases in particular held that non-Natives could not acquire land from Indian people without the consent of the federal government. In other words, Alaska Native people had an aboriginal claim to land that only the U.S. government could settle. The first such case, United States v. Berrigan (1905) was heard by Judge James Wickersham, and involved a dispute over land near Salcha. The second was United States v. Cadzow (1914), involving a dispute over ownership of a cabin in Fort Yukon.
In 1906, Congress adopted the first land grant to Alaska Native people through Alaska Native Allotment Act. The Act entitled Alaska Natives to restricted land entitlements of up to 160 acres of unappropriated, non-mineral land. While only 80 Allotments were approved between 1906 and 1960, today there are some 13-15 thousand Native Allotments in Alaska. They are primarily located around the villages and in hunting and fishing use areas.
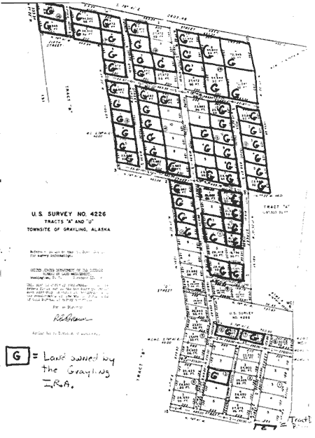
Townsite Acts were the way the cities in Alaska first got land from the federal government. Congress passed the second land grant to Alaska Native people through the 1926 Alaska Native Townsite Act, which was a special type of Townsite designed to give Alaska Natives small lots under their homes in villages in a restricted status. There was no payment for lots and they were to be nontaxable and inalienable, meaning they could not be taken away or sold without approval of the federal government. Some 106 Alaska Native Townsites were created. Some of the Native villages moved off of their townsites due to flooding and other issues, and most of the 229 federally recognized tribes in Alaska are not located on Alaska Native townsites.
Neither the 1906 Alaska Native Allotment Act, nor the 1926 Alaska Native Townsite Act, was a settlement of the much larger aboriginal claim to land in Alaska. Today, however, both Native allotments and restricted Alaska Native Townsite lands are likely Indian country for the purpose of tribal jurisdiction because of their restricted status. Acquiring new Native allotments was terminated by the Alaska Native Claims Settlement Act in 1971, without a specific exception by Congress. The Alaska Native Townsite Act was terminated in 1976 by the Federal Land Policy and Management Act (FLPMA), stopping the creation of new Alaska Native Townsites.
| << Back | Next >> |

